Bare-knuckle Surgeon and The Honourable Doctor are works of fiction but all the places where the events took place were real. Many of them have survived the past 200 years. This map shows you all the locations in London and provides both images from the 1820s and present day photographs (such as this one of the Great Windmill Street School of Anatomy).
Interactive map
Collards piano shop
Collard's piano shop in Cheapside.
Portrait of Frederick William Collard, one of
Freddy Collard's two uncles, who
is believed to have covertly funded
the establishment of The Lancet.
Gerards Inn
Thomas Wakley's lodgings (1817-19)
in Basing Lane. Beneath the inn was
a fine crypt from earlier building.
Inn demolished 1853.
Goodchilds’ home
Elizabeth Goodchild's home until her
marriage to Thomas Wakley in 1821.
The family's glass and lead manufactory
was opposite their house in Fenning's
Wharf which burnt down in 1837
(Turner's painting of the disaster.)
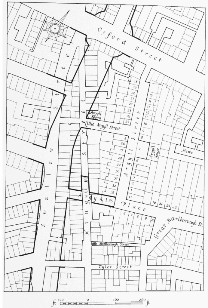
Argyll Street
Map showing 5 Argyll Street where
Thomas & Elizabeth Wakley lived
1819-20 and the proposed Oxford
Circus and Regent Street development.
St Peter’s Church
Designed by Sir John Soane,
it opened in 1825 to meet
needs of expanding
population in area.
The Marshalsea
The debtors' prison. All that remains of
1811 building (that replaced the original
that was nearer Guy's Hospital) is the
southern wall. Charles Dicken's father
incarcerated in 1824. Features in
Little Dorrit.
Webb Street Theatre of Anatomy
Established 1819 by Edward Grainger in Catholic chapel. Despite opposition of Royal College of Surgeons, new lecture theatre opened in 1823 that accommodated 300 pupils.. In 1842, amalgamated with St Thomas's School. No image survives of Grainger or his school.
Bee Hive Tea Garden
Owned by Keen (who built Keen's Terrace),
established a cricket field alongside.
Montpelier Club played there until 1844
after which houses were built on the site.
The pub (rebuilt in 1830) has
survived (in Carter Place) though recently
closed and its future is under threat.
Guildhall
Current building 1440s but
extensively restored and
changed, most recently in
1950s after wartime bombing.
Court of King's Bench resided
here (as well as Westminster
Hall).
Apothecary Hall
Home of the Worshipful Society
of Apothecaries, the oldest extant
livery hall in the City of London.
Hall rebuilt in 1672 after Great Fire.
Middlesex Hospital
Established in 1745 in three
houses in Windmill Street,
it moved to newly built
premises here in 1757. By
1825 there were 200 beds
by which time it was one
of seven voluntary general
hospitals in London. It
steadily expanded and was
rebuilt before closing in
2005 and all but the
chapel demolished.
Royal Bethlehem Hospital
Founded in 1247 as a priory, it soon
concentrated on caring for 'the insane'.
It was rebuilt in Moorfields in 1676
where it remained until moving here
in 1815. Often referred to as 'Bethlem'
or 'Bedlam'. In 1930 the hospital
relocated to Croydon in six years
later this building became home to
the Imperial War museum (est 1917).
Westminster Hall
First built in 1097 as part of
the Palace of Westminster,
the current edifice dates from
1399. Legal cases were heard
in the Hall until new courts
designed by John Soane
were opened in 1827, on the
west side of the building,
Cooper v Wakley was one
of the first trials held there.
Wardrop’s home
James Wardrop (born 1782) moved
from Edinburgh to London in 1808.
An indication of how successful he
was was his home, a fine four-storey
terraced house in Charles Street,
just off St James's Square, long
since demolished.
Hospital for Surgery
Founded in 1826 by the Scottish surgeon,
James Wardrop, in a house in Panton
Square, off Coventry Street.
He funded it from his private practice. One
day a week held concours: operations of
importance, discussion, 50-80 attenders
including almost every scientific foreigner
in town. Lasted until 1834. Panton Square
disappeared with the construction of
Shaftesbury Avenue around 1880.
Westminster Medical Society
Established in 1809. Initially
met on Saturday evenings in
Sackville Street but then moved
here to the Great Windmill
School of Anatomy. In 1850
merged with the London
Medical Society.
173 The Strand
In 1821, Thomas Wakley established
his surgical practice in Butterfield's Druggist &
Chemist on corner of Norfolk
Street. 1958 photo shortly before site
demolished. He edited The Lancet there
from 1823 until 1836.
Freemasons’ Tavern
Building purchased by the Freemasons
in 1775 who wanted its gardens in
which to build a Grand Hall. Turned
the house into a tavern which served
as a meeting place for a variety of
notable organisations until it was
demolished in 1909 to make way
for the Connaught Rooms.
London Medical Society
Established in 1773, it took up
residence here at 8 Bolt Court
in 1788 where it remained until
1850. It moved to its current
home in Chandos Place in 1873.
Mills, Jowett & Mills
Housed here at 11 Bolt Court,
they printed Cobbett's Political
Register. From 1826 they also
printed The Lancet. The editors
(together with Cobbett)
- the 'good haters' -
met here on Friday nights.
Lamberts’ home
Keen's Row. No 1 (now a betting shop)
was The Horse & Groom pub and one
of the few original buildings that
remain. Lamberts lived in the middle
of the row (No 8) - now the site of a
modern supermarket. Beyond, 12-14
survive, plus 15 which was the Ship
& Blue Coat Boy pub.
Surrey Dispensary
Established 1777. Moved here to purpose-built
premises 1784 where it remained until 1840
(moved to Falmouth Road). Building demolished
and no images survive). Provided free care to
poor from huge area - Rotherhithe, Bermondsey,
Walworth and Southwark.
Thomas Wakley’s home, 35 Bedford Square
Thomas and Elizabeth Wakley
moved here in 1828. Later,
in 1847, the offices for The
Lancet moved here from Essex
Street, The Strand.
St Thomas’ Hospital
The end of one of the two wings that stood
either side of the entrance on Borough
High Street. The hospital extended
east through three grand courtyards.
Established as a religious institution
in the 12th century. Rebuilt in the 18th
century, it had to vacate the site in
1862 to make way for construction
of London Bridge station.


